




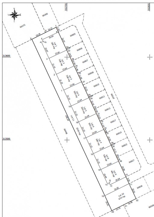
Teren intravilan in rate cu curent electric în zona Strazii Puz 9 din comuna Berceni (#UG19)
- suprafețe disponibile loturi de la 495mp la 560 mp
- utiliăți: curent electric
- acces la: strada asfaltata foarte aproape de loturi.
- acces pasaj Berceni, metrou Tudor Arghezi
Prețurile nu includ TVA, iar avansul și ratele lunare diferă de la un proiect de loturi la altul.
Important: Imaginile sunt cu caracter informativ, iar delimitarea loturilor poate diferi față de realitate.
ComunaBerceni™ crede in verde
...de peste 10 ani impreuna
Dezvoltator imobiliar ComunaBerceni.ro - Sediul: Bd. 1 Mai 65 - Berceni, Ilfov.